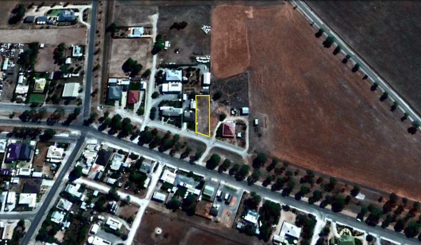
This generous block is in a great location within Jamestown.
- Total land size of 1,232sqm approx
- Large 21.3 metre frontage
- Power & Water Available
- Colorbond fencing to 3 sides (Portion incomplete)
CT5916/853
Zone - Home Industry
Property Code: 2648
Land Size
1,232 Square Mtr
Built-in Robes
no
Open Fire Place
no
Study
no